Yeni keşfedilen böceğe bakanın ismini verdiler
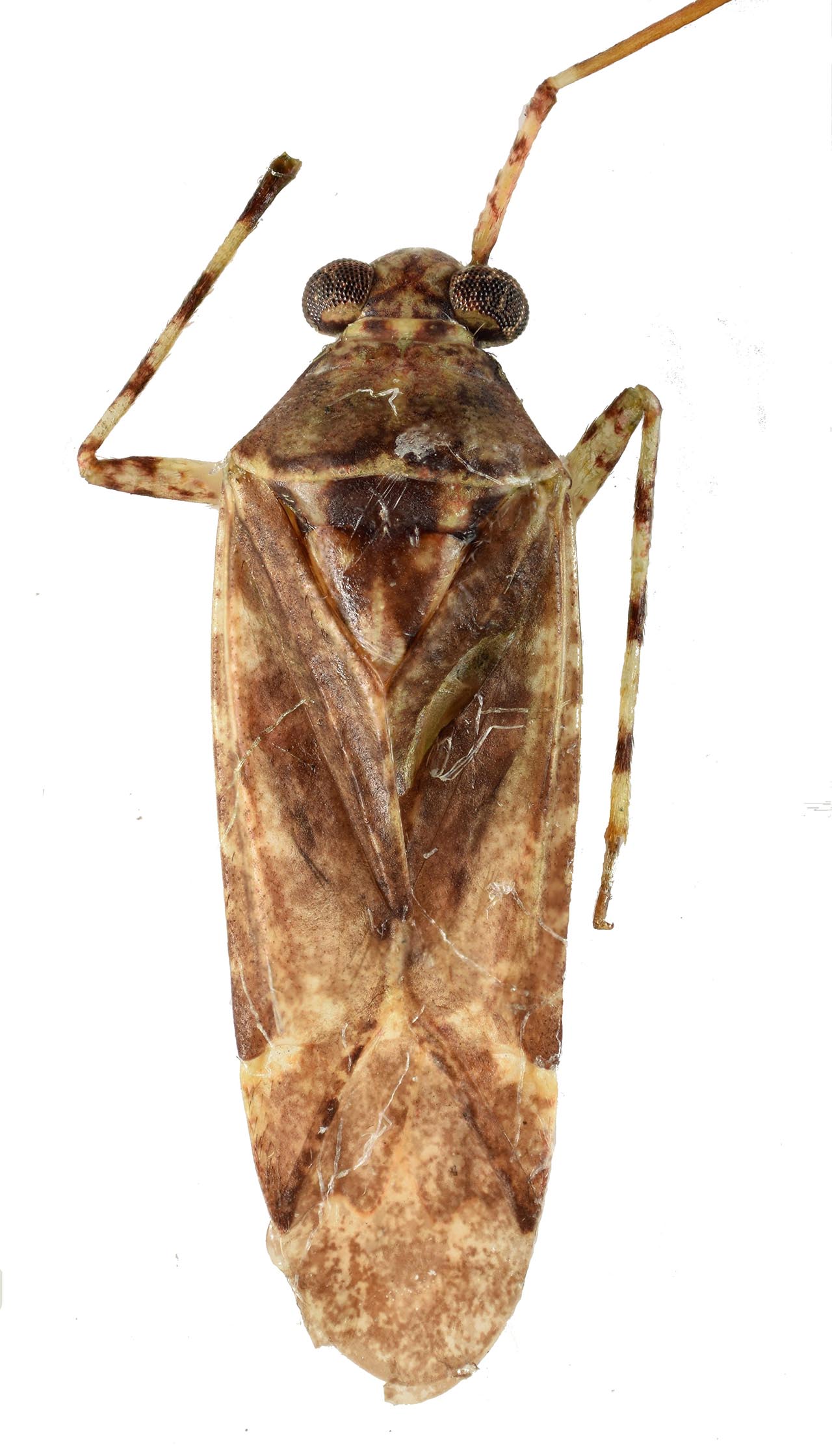
Mardin'in Ömerli ilçesinde Türk bilim insanları tarafından yeni bir böcek türü keşfedildi. Böceğe, eski Tarım Bakanlarından Nihat Şevket İyriboz'un isminden esinlenilerek 'Phytocoris iyribozi' adı verildi.
Fırat Üniversitesi Biyomühendislik Fakültesi Öğretim Üyesi Prof. Dr. İnanç Özgen, Ege Üniversitesi Ziraat Fakültesi Entomoloji Anabilim Dalı Öğretim Üyesi Prof. Dr. Serdar Tezcan ve Hacettepe Üniversitesi Tıp Fakültesi öğrencisi Barış Çerçi'nin ortak çalışmasıyla Mardin'in Ömerli ilçesindeki kiraz bahçelerinde yeni bir böcek türü keşfedildi.
Bölgedeki kiraz bahçelerinden topladığı örnekleri inceleyen Prof. Dr. Özgen, yarım kanatlılar takımından, bitki tahtakuruları familyasında yer alan 'Phytocoris' cinsine ait yeni bir tür saptadı.
BESLENME ALIŞKANLIKLARI BİLİNMİYOR
Barış Çerçi tarafından tanımlanan türe Prof. Dr. Serdar Tezcan'ın önerisiyle, Türkiye Cumhuriyeti'nin ilk bitki korumacılarından, zirai mücadele araştırma enstitülerinin kurucularından ve 1950'lerde Tarım Bakanlığı yapmış merhum Nihat Şevket İyriboz'un adı verildi. Yeni türün ismi 'Phytocoris iyribozi' oldu.

'Phytocoris iyribozi' ile ilgili yayın, geçen ay 'Zoology in the Middle East' dergisinde yer aldı. Böcek türünün örneklerinin İzmir'deki Lodos Entomoloji Müzesi'nde (LEMT) saklandığı belirtildi. Yeni türün beslenme davranışları da yapılan araştırmalar sonucu ortaya çıkacak.

'TÜRÜN ERKEĞİ VE DİŞİSİ İZMİR'DE'
Fırat Üniversitesi Biyomühendislik Fakültesi Öğretim Üyesi Prof. Dr. İnanç Özgen, "Bu yeni bir tür, dünyada ilk defa tespit edildi, Mardin’in Ömerli ilçesinde kiraz bahçelerinde bulundu. Türün zararlı veya faydalı olduğu yönünde herhangi bir kaydımız yok. Türün erkeği ve dişisi İzmir Lodos Entomoloji Müzesi'nde saklanıyor. Bu türün bizim için en onur verici yönü; tarım bakanı olan, ülkemiz tarımına ve zirai mücadele enstitülerinin açılmasına katkıda bulunan Nihat Şevket İyriboz adına isimlendirilmesi. Bu türün yayını Zoology in the Middle East dergisinde yayınlandı. Ülkemize hayırlı olsun" diye konuştu.

Kaynak:DHA




Türkçe karakter kullanılmayan ve büyük harflerle yazılmış yorumlar onaylanmamaktadır.